物件概要
| メゾン・デュオ | |
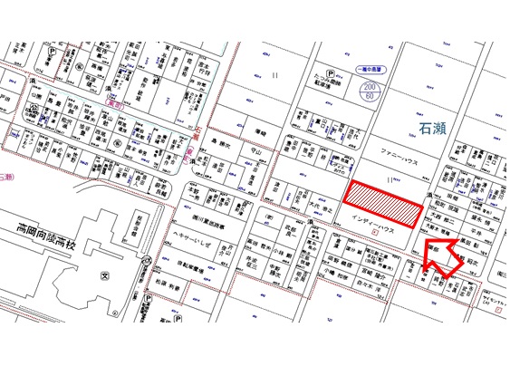
| 高岡市石瀬518-1 | |
| [校下] 芳野中学校/野村小学校 |
物件詳細
| 所在地 | 高岡市石瀬518-1 | |||||||||||||||||||||||||
|---|---|---|---|---|---|---|---|---|---|---|---|---|---|---|---|---|---|---|---|---|---|---|---|---|---|---|
| 名称 | メゾン・デュオ | 築年月 | 平成 20年6月 | |||||||||||||||||||||||
| タイプ | 1LDK | 部屋No | 105号室 | |||||||||||||||||||||||
| 最適用途 | 住居 | |||||||||||||||||||||||||
| 賃料 | 53,000円/月 | 駐車料 | 別 | |||||||||||||||||||||||
| 共益費 | 別 | |||||||||||||||||||||||||
| 敷金 | 1ヶ月 53,000円 | 礼金 | ||||||||||||||||||||||||
| 共益費 | 3,000円/月 | 駐車料金 | 2台目有 3,000円/台 | |||||||||||||||||||||||
| 損害保険料 | 定期建物貸借 | |||||||||||||||||||||||||
| 交通 | 徒歩分 | |||||||||||||||||||||||||
| 土地 | 地積 | |||||||||||||||||||||||||
| 建物 | 専有面積 | 53.96㎡/16.32坪 | ||||||||||||||||||||||||
| 構造 | 木造 | 2階建 | ||||||||||||||||||||||||
| 設備 |
|
|||||||||||||||||||||||||
| 入居可能日 | 相 談 | |||||||||||||||||||||||||
| 校下 | 芳野中学校/野村小学校 | |||||||||||||||||||||||||
| 取引形態 | 媒介 | リフォーム | ||||||||||||||||||||||||
| 物件コード | 9137-5-000117 | |||||||||||||||||||||||||
物件所在地
|


